Accor Hôtel ARENA Paris
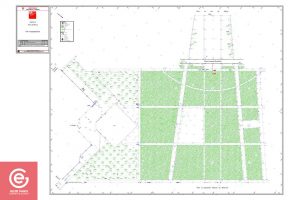
L’Accor Hotels Arena de Paris sera le théâtre des finales de jumping et de dressage au printemps 2018. Le cabinet GE3D fut missionné par la très réputée agence d’événementiel GL Events pour la réalisation de relevés topographiques afin d’accueillir dans les meilleures conditions les cavaliers et chevaux au sein même du parc de Bercy. À partir de nos relevés, GL Events a pu réfléchir à l’aménagement du village équestre qui sera installé dans le parc de Bercy pendant toutes la durée des épreuves.
Missions réalisées
- Relevé topographique
- Classification et dimensionnement de chacun des arbres du parc de Bercy
